2025年11月28日(金)QPS研究所の小型SAR衛星14号機 「ヤチホコ-I」による初画像(ファーストライト)として、高精細モード画像を公開
株式会社QPS研究所

[画像1:
https://prcdn.freetls.fastly.net/release_image/49970/92/49970-92-2e10917a0843514bb358ab2d99a297a4-1558x2000.jpg?width=536&quality=85%2C75&format=jpeg&auto=webp&fit=bounds&bg-color=fff ]
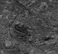
瀬戸内海に浮かぶ小豆島のSAR画像(香川県 小豆郡)
世界トップレベルの小型SAR[※1]衛星の開発・製造・運用を行う株式会社QPS研究所(福岡市中央区、代表取締役社長 CEO:大西 俊輔、以下QPS研究所)は、2025年11月28日(金)に小型SAR衛星QPS-SAR14号機「ヤチホコ-I」の初画像(ファーストライト[※2])として取得した試験観測画像を公開いたします。
QPS研究所が北部九州を中心とした全国25社以上のパートナー企業と共に開発・製造した「ヤチホコ-I」は米国ロケット・ラボ社のロケットElectron (ミッションネーム:The Nation God Navigates “国造りの神が導く”)によって2025年11月6日(木)4時51分 (日本時間)に打ち上げられ、約50分後に衛星分離に成功しました。そしてその約35分後には初交信に成功し、同日の夕方に収納型アンテナの展開を実行いたしました。その後、衛星機器の調整を続け、この度、取得した画像を公開する運びとなりました。
QPS-SARは分解能1.8mの通常モード(ストリップマップモード)と分解能46cmの高精細モード(スポットライトモード)の観測が可能です。11月25日から観測を開始し、本日、14号機のファーストライト画像を発表いたします。
代表取締役社長 CEO 大西 俊輔 コメント
「今年に入ってからの開発・製造・打上げのスピードは、私たちが目指すコンステレーション[※3]構築に不可欠であり、その一方で高い技術精度が求められる挑戦でもあります。そうした中、QPS-SAR14号機が確実に初画像を取得できたことは、エンジニアチームがこれまで蓄積してきた知見を着実にシステムへ反映し、ミッションに真摯に向き合ってきた成果にほかなりません。ファーストライトは衛星の健全性と技術の進化を確認する重要な指標です。今回の画像で当社の量産体制と運用技術の確かさがさらに裏付けられたことを心から嬉しく思います。今後も一つひとつの工程を丁寧に積み重ね、より信頼性の高いサービスの提供につなげてまいります。」
[画像2:
https://prcdn.freetls.fastly.net/release_image/49970/92/49970-92-7871ecf2bc3665c81f790581ca1b9676-1357x1586.jpg?width=536&quality=85%2C75&format=jpeg&auto=webp&fit=bounds&bg-color=fff ]
ファーストライト画像詳細
[表:
https://prtimes.jp/data/corp/49970/table/92_1_34c4d9b5bd6f946b5ef31e39055c3a48.jpg?v=202511280617 ]
[※1] SAR (合成開口レーダー):電波を使用して地表の画像を得るレーダー。雲や噴煙を透過し、昼夜を問わず観測することができる点が特長。
[※2] ファーストライト:初画像のことを言います。公開した画像データは衛星の機能を試験・調整している中で初で確認できた試験データになります。
[※3] 複数の人工衛星の協業によって高頻度な地球観測を可能とするシステム。(コンステレーションは「星座」の意。)
[※4] 画像化した際の1ピクセルの大きさを指します。ファーストライトで試験観測した通常モードではアジマス分解能1.8m、スポットライトモードではアジマス分解能46cm相当に画像化しますが、レンジ分解能は観測条件によって可変となります。
[※5] アジマス:衛星の進行方向。
[※6] レンジ:衛星のマイクロ波を照射する方向。衛星の進行と直交する方向で、ここではグランドレンジを指します。
ファーストライトSAR画像
このページ上では広域画像は小さくなっており、圧縮をかけて容量を軽くしているため、弊社ホームページのニュース(
https://i-qps.net/news/3307/)にて掲載している画像もご覧いただければ幸いです。
1. 福島県 福島市
福島県を南北にまたぐ一級河川、阿武隈川は画像の右側に、そして中央部分には福島市のシンボルである信夫山、馬とのふれあいイベントや子ども向けの遊具施設も充実している福島競馬場を捉えています。
[画像3:
https://prcdn.freetls.fastly.net/release_image/49970/92/49970-92-64a73a7febdd7a85dba37c012851ecdc-2000x1979.jpg?width=536&quality=85%2C75&format=jpeg&auto=webp&fit=bounds&bg-color=fff ]
クローズアップ画像1.-1 福島競馬場
パドックや観戦席、障害コース、馬場内投票所、中場内の公園や様々な施設が観測できています。
[画像4:
https://prcdn.freetls.fastly.net/release_image/49970/92/49970-92-590cc1ef3972d307b640612b0a55f7e1-2575x2410.jpg?width=536&quality=85%2C75&format=jpeg&auto=webp&fit=bounds&bg-color=fff ]
2. 福岡県 北九州市 八幡西区エリア
北九州市の八幡西区に位置する黒崎駅周辺を観測。長崎街道の宿場町「黒崎宿」として栄え、現在北九州市の副都心として発展する商業地域です。
画像右上部には駅の北側にある洞海湾沿岸に広がる工場地帯、中央部には、豊かな自然を活かして設計された瀬板の森公園、そして全体に住宅街や商業施設、商店街があり、充実した都市の全景がよく分かる観測画像です。
[画像5:
https://prcdn.freetls.fastly.net/release_image/49970/92/49970-92-5620b7b5a4dc449768834f3dbffc34c5-2000x1850.jpg?width=536&quality=85%2C75&format=jpeg&auto=webp&fit=bounds&bg-color=fff ]
3. 香川県 小豆郡 小豆島エリア
瀬戸内海国立公園の中心地となる小豆島は、瀬戸内海で淡路島に次いで2番目の大きさを誇る島です。島の西側、土庄町を中心に観測しました。画像を拡大いただくと世界で一番狭い海峡としてギネスブックに認定された土渕海峡が確認できます。また、画像左側にはオリーブ畑の群生が見えます。
[画像6:
https://prcdn.freetls.fastly.net/release_image/49970/92/49970-92-5cd1fe9599e3d0f7465ec290dd47e020-1558x2000.jpg?width=536&quality=85%2C75&format=jpeg&auto=webp&fit=bounds&bg-color=fff ]
クローズアップ画像3.-1 エンジェルロード
小豆島のエンジェルロードは干潮時に海の中から現れる砂の道です。今回、ちょうど干潮時の様子を捉えました。
[画像7:
https://prcdn.freetls.fastly.net/release_image/49970/92/49970-92-c6c4fa9f2dd254e919616d266abde6e8-2000x1329.jpg?width=536&quality=85%2C75&format=jpeg&auto=webp&fit=bounds&bg-color=fff ]
4. カザフスタン アルマトイ
カザフスタン南東部にあるアルマトイは、東洋と西洋が交差する歴史的建築様式と自然の美しさが調和する都市です。画面右側には住宅街が広がり、左側には屋内スキー場や劇場、商業施設などがあり、歴史ある街の中の生活の様子を知ることができます。
[画像8:
https://prcdn.freetls.fastly.net/release_image/49970/92/49970-92-e15fff33e81a453c085a64f7b3c46a0c-2000x1891.jpg?width=536&quality=85%2C75&format=jpeg&auto=webp&fit=bounds&bg-color=fff ]
5. 米国 ペンシルベニア州 フィラデルフィア
デラウェア川河畔に位置するフィラデルフィアは、アメリカの独立宣言と合衆国憲法が採択された「アメリカ誕生の地」として知られています。
デラウェア川にかかるベンジャミン・フランクリン橋は、20世紀初頭に建設され、完成当時は世界で最も長い吊り橋と称されました。画像右側に捉えている、映画「ロッキー」の『ロッキーステップ』として知られるフィラデルフィア美術館は、拡大いただくと美しい敷地がご覧いただけます。
[画像9:
https://prcdn.freetls.fastly.net/release_image/49970/92/49970-92-404be1ce114f50dfd24a2a3f11ea47e1-2000x1564.jpg?width=536&quality=85%2C75&format=jpeg&auto=webp&fit=bounds&bg-color=fff ]
<株式会社QPS研究所について>
QPS研究所は2005年に福岡で創業された宇宙開発企業です。名前のQPSとは「Q-shu Pioneers of Space」の頭文字を取っており、九州宇宙産業の開拓者となること、更には九州の地より日本ならびに世界の宇宙産業の発展に貢献するとの思いが込められています。その名の通り、九州大学での小型人工衛星開発の技術をベースに、国内外で衛星開発やスペースデブリへの取り組みに携わってきたパイオニア的存在である名誉教授陣と若手技術者・実業家が一緒になって、宇宙技術開発を行っています。また、QPS研究所の事業は、創業者たちが宇宙技術を伝承し育成してきた北部九州を中心とする全国25社以上のパートナー企業に力強く支えられています。
<株式会社QPS研究所>
社名 :株式会社QPS研究所
本社住所:福岡市中央区天神1-15-35 レンゴー福岡天神ビル6階
代表者 :代表取締役社長 CEO 大西俊輔
創業 :2005年6月
URL :
https://i-qps.net/
事業内容:人工衛星、人工衛星搭載機器、精密機器、電子機器並びにソフトウエアの研究開発、設計、製造、販売
プレスリリース提供:PR TIMES





記事提供:PRTimes